Service Guide

Get Ants Extermination Service

Local contractors specializing in ant extermination handle infestations, remove colonies, and prevent future outbreaks to protect your property and ensure a pest-free environment.

Ants can become an unwelcome presence in residential and commercial properties, prompting many property owners to explore professional extermination options. If you’re considering solutions to manage ant infestations or prevent future issues, you’re in the right place. Local contractors specializing in ant extermination services offer practical approaches tailored to the needs of property owners in the area, helping to protect your space and maintain a pest-free environment.

Evaluating different service providers can help ensure the work aligns with your property’s specific requirements. This page connects you with local experts who can assist with planning and executing effective ant control strategies. Keep reading to learn more about how local service providers can support your property management goals and help you make informed decisions.

Get Ants Extermination Service Quotes

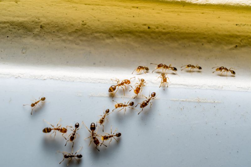
  • Ants Extermination - needed when ants invade a home or business, causing nuisance or contamination.
  • Ants Prevention - sought after when establishing barriers to keep ants from returning after treatment.
  • Ants Inspection - required to identify ant infestation sources and assess the extent of the problem.
  • Ants Baiting - used as part of an integrated approach to eliminate ant colonies effectively.
  • Ants Removal - necessary when ant activity persists despite initial control efforts.
Ants Extermination Service
Ants Extermination Service
Ants Extermination Service

Ants extermination services involve identifying and eliminating ant infestations within residential and commercial properties. Trained service providers typically conduct a thorough inspection to locate ant colonies and entry points, then apply targeted treatments to eradicate the pests. These treatments may include baiting systems, insecticidal sprays, or dusts designed to eliminate ants at their source and prevent future invasions. The goal is to restore comfort and maintain a pest-free environment by addressing the problem effectively and efficiently.

This service helps resolve common ant-related issues such as unwanted indoor foraging, nest building, and persistent trails that can lead to larger infestations. Ants can invade kitchens, pantries, and other areas where food is stored, creating hygiene concerns. In some cases, they may also cause structural damage by nesting in wood or insulation. Professional extermination services are equipped to handle these problems, offering solutions that reduce the risk of recurring infestations and protect the property’s overall cleanliness and safety.

Ants extermination services are often used in a variety of property types, including single-family homes, apartments, condos, and small commercial buildings. Homes with gardens or outdoor spaces are especially vulnerable to ant invasions, as these environments provide ample food sources and nesting sites. Commercial properties like restaurants, grocery stores, and food production facilities also frequently require pest control to meet health standards and prevent business disruptions. Service providers tailor their approach to the specific needs of each property, ensuring effective treatment regardless of size or type.

Homeowners typically seek ants extermination services when they notice signs of an ant invasion, such as visible trails, ant sightings indoors, or nests around the property’s foundation. Early intervention can prevent larger infestations and minimize property damage or hygiene issues. Whether dealing with a minor nuisance or a more extensive problem, local contractors can provide the expertise needed to eliminate ants and help maintain a clean, pest-free living or working space. Contacting a professional can ensure the problem is addressed safely and thoroughly.

The overview below groups typical Ants Extermination Service projects into broad ranges so you can see how smaller, mid-sized, and larger jobs often compare in your area.

In many markets, a large share of routine jobs stays in the lower and middle ranges, while only a smaller percentage of projects moves into the highest bands when the work is more complex or site conditions are harder than average.

Smaller Repairs - Typical costs for routine ant extermination jobs generally range from $250 to $600. Many common treatments fall within this band, covering standard infestations in homes or small commercial spaces. Larger or more complex cases may push the price higher, but most projects stay within this range.

Initial Inspection - The cost for an initial inspection by local contractors usually falls between $100 and $300. This fee often includes assessment of the infestation and recommendations for treatment. Many inspections are completed within this range, with fewer cases requiring extensive analysis that can increase the cost.

Full Treatment - Complete ant extermination services typically cost between $300 and $1,200 for most residential projects. This range covers comprehensive treatment plans, including multiple visits if necessary. Larger properties or severe infestations can lead to higher costs, but many jobs are completed within this band.

Full Replacement - For extensive ant control involving structural repairs or baiting systems, costs can range from $1,500 to over $5,000. Such projects are less common and usually involve significant work, but local service providers can handle these larger, more complex jobs when needed.

Actual totals will depend on details like access to the work area, the scope of the project, and the materials selected, so use these as general starting points rather than exact figures.

Get a Quote

Pest Control Treatments - Professionals skilled in identifying and eliminating various pests, including ants, using targeted treatment methods to ensure effective removal.

Rodent Exclusion Projects - Contractors experienced in sealing entry points and implementing exclusion strategies that prevent pests like mice and rats from entering structures, similar to ant barrier techniques.

Termite Inspection and Prevention - Service providers who assess structures for termite activity and apply preventative measures, sharing planning and inspection skills with ant extermination services.

Wildlife Removal Services - Experts equipped to safely remove nuisance wildlife such as raccoons or squirrels, utilizing similar trapping and removal tools as used in ant control.

Structural Pest Prevention - Local contractors who install barriers and pest-proofing solutions to protect buildings from pest invasions, aligning with ant exclusion strategies.

Insect Baiting and Monitoring - Specialists who set up bait stations and monitor pest activity, employing similar planning and baiting techniques as ant extermination projects.

Ants Extermination Service

When evaluating potential contractors for ant control services, it’s helpful to consider their experience with similar projects. Homeowners should inquire about how long a service provider has been handling ant extermination and whether they have worked on properties with comparable size or ant issues. A contractor with a proven track record in managing ant infestations can often offer insights into effective methods and solutions that have worked well in comparable situations, increasing the likelihood of a successful outcome.

Clear, written expectations are essential for ensuring that both parties understand the scope of work, treatment procedures, and any follow-up steps. Homeowners should seek service providers who can provide detailed explanations of their approach in writing, including what treatments will be used, areas that will be targeted, and any preparations needed before service. Having these details documented helps prevent misunderstandings and ensures that the homeowner and contractor are aligned on what will be done.

Reputable references and good communication are key factors when comparing local service providers. Homeowners are encouraged to ask for references or reviews from past clients who had similar ant issues, as these can provide valuable insights into the contractor’s reliability and quality of work. Additionally, choosing a provider who is responsive and clear in their communication can make the process smoother and more transparent. It’s important to find a local contractor who can address questions promptly and explain their process thoroughly, helping to build confidence in their ability to handle the job effectively.

Get an Ants Extermination Service Quote

Property owners use Ants Extermination Service services for practical projects around their homes and businesses. This guide focuses on everyday jobs and straightforward project options.

Ants Extermination Service
Ants Extermination Service

Ants can become a common nuisance in homes and commercial properties, especially during warmer months or after recent rainfall. Property owners might notice ants crawling across kitchen counters, along baseboards, or in outdoor garden beds, prompting the need for professional extermination services. Local contractors experienced in ant control can identify the source of the infestation and implement targeted solutions to eliminate the problem effectively.

In many cases, property owners seek ant extermination when they find persistent colonies that disrupt daily activities or threaten the cleanliness of their spaces. Whether it's ants invading a pantry or establishing nests near the foundation, local service providers can offer reliable treatment options. These professionals help maintain a pest-free environment, ensuring that ant issues are addressed promptly and efficiently.

Get an Ants Extermination Service Quote

What are common signs of an ant infestation? Signs include visible ant trails, small piles of dirt or debris near entry points, and the presence of ants inside the home or building.

What types of ants do extermination services typically target? Services commonly address common household ants such as carpenter ants, odorous house ants, and pavement ants.

How do local service providers eliminate ant infestations? They use targeted treatments that may include baits, sprays, and barriers to effectively reduce ant populations and prevent re-infestation.

Are ant extermination methods safe for pets and children? Many local contractors use treatments that are designed to be safe when applied properly, but it's best to discuss safety concerns with the service provider before treatment.

What steps can be taken to prevent future ant problems? Local pros often recommend sealing entry points, maintaining cleanliness, and removing food and water sources to minimize the chances of ants returning.

Ants Prevention Tips - Learn how property owners can implement simple measures to reduce ant attractants around their homes and gardens.

Identifying Ant Infestations - Find out how to recognize signs of ant activity early to prevent larger invasions.

Choosing the Right Extermination Service - Discover how to compare local contractors to find the best support for ant removal needs.

Maintaining a Pest-Free Property - Explore practical steps property owners can take to keep ants from returning after treatment.

Ants Extermination Service

If you are thinking about Ants Extermination Service for a property, this guide is meant to help you understand the work, the typical project types, and how different options might fit your plans.

When you are ready, you can use the quote form on this page to share a few details about your project. From there, local pros can review the basics and respond with options that match what you have in mind.

Get a Quote

Ants Extermination Quotes

Our Trusted Partners
Mosquito Shield
Hawx Pest Control
Cleveland Chemical Pest Control Service